Thursday, January 25, 2024

Unlocking Stroke Severity: NIHSS 8 Punkte Decoded

Unlocking Stroke Severity: NIHSS 8 Punkte Decoded

Discover the essential insights into stroke severity assessment with the NIHSS 8 Punkte scale. Gain valuable knowledge for effective patient management in healthcare settings.

In the realm of healthcare, the NIHSS 8 Punkte scale stands as a pivotal tool in the assessment and management of acute stroke patients. This article delves into the intricacies of this standardized neurological examination, exploring its significance in clinical practice and its role in guiding treatment decisions. As strokes continue to pose a significant public health challenge globally, understanding the nuances of neurological assessment tools such as the NIHSS 8 Punkte scale becomes paramount. Through a comprehensive analysis, this discourse aims to elucidate the fundamental principles underpinning the scale's application, thereby fostering a deeper comprehension amongst healthcare professionals and researchers alike.

Top 10 Points about NIHSS 8 Punkte :

  • Introduction to the NIHSS 8 Punkte Scale
  • Historical Development of the NIHSS 8 Punkte
  • Components and Scoring of the NIHSS 8 Punkte
  • Importance of Standardized Assessment in Stroke Care
  • Interpretation of NIHSS 8 Punkte Scores
  • Role of NIHSS 8 Punkte in Treatment Decision Making
  • Limitations and Considerations in Using NIHSS 8 Punkte
  • Training and Certification for Administering NIHSS 8 Punkte
  • NIHSS 8 Punkte in Clinical Research and Trials
  • Future Directions and Advances in Stroke Assessment

Several facts about NIHSS 8 Punkte

Introduction NIHSS 8 Punkte

Introduction

Neurological assessment is fundamental in determining the severity and prognosis of stroke patients. One of the widely used tools in this regard is the NIHSS 8 Punkte scale. Developed by the National Institutes of Health Stroke Scale, it serves as a standardized measure to evaluate the neurological status of individuals affected by stroke.1

Components and Scoring NIHSS 8 Punkte

Components and Scoring

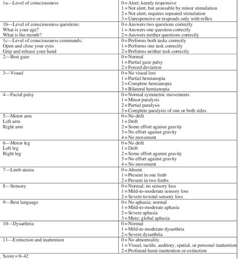
The NIHSS 8 Punkte scale comprises various components, including level of consciousness, visual fields, facial palsy, motor strength, coordination, and sensory perception. Each component is assessed and scored accordingly, with higher scores indicating greater neurological impairment. This scoring system aids healthcare professionals in gauging the severity of stroke and determining appropriate treatment strategies.2

Importance of Standardized Assessment NIHSS 8 Punkte

Importance of Standardized Assessment

Standardized assessment tools such as the NIHSS 8 Punkte play a crucial role in ensuring consistent evaluation and management of stroke patients across healthcare settings. By providing a standardized framework, these tools facilitate accurate communication among healthcare professionals, leading to timely interventions and improved patient outcomes.3

Interpretation NIHSS 8 Punkte Scores

Interpretation of Scores

The interpretation of NIHSS 8 Punkte scores is vital in guiding treatment decisions for stroke patients. Higher scores typically indicate more severe neurological deficits, necessitating urgent intervention and specialized care. Conversely, lower scores may suggest milder impairment, prompting conservative management approaches.4

Role of NIHSS 8 Punkte in Treatment Decision Making

Role in Treatment Decision Making

The NIHSS 8 Punkte scale serves as a valuable tool in guiding treatment decisions for stroke patients. Healthcare professionals utilize the scores to determine the appropriate level of care, ranging from thrombolytic therapy to rehabilitation interventions. This individualized approach helps optimize outcomes and minimize the risk of complications.5

Limitations and Considerations Using NIHSS 8 Punkte

Limitations and Considerations

Despite its widespread use, the NIHSS 8 Punkte scale has certain limitations and considerations. Variability in scoring among different assessors and potential language barriers may impact the reliability of results. Additionally, the scale may not fully capture certain neurological deficits, necessitating a comprehensive clinical evaluation.6

Training and Certification for Administering NIHSS 8 Punkte

Training and Certification

Proficiency in administering the NIHSS 8 Punkte scale requires specialized training and certification. Healthcare professionals undergo rigorous education and assessment to ensure accuracy and consistency in scoring. Ongoing training and quality assurance measures are essential to maintain competency and uphold the standards of care.7

NIHSS 8 Punkte in Clinical Research and Trials

NIHSS 8 Punkte in Clinical Research

The NIHSS 8 Punkte scale also plays a significant role in clinical research and trials related to stroke management. Researchers utilize the scale to assess the efficacy of novel interventions, monitor disease progression, and evaluate treatment outcomes. Its widespread adoption ensures consistency and comparability across different studies, contributing to advancements in stroke care.8

Future Directions and Advances in Stroke Assessment

Future Directions

Looking ahead, ongoing advancements in technology and healthcare delivery hold promise for enhancing stroke assessment and management. Innovations such as telemedicine and artificial intelligence may streamline the administration of the NIHSS 8 Punkte scale, enabling more efficient and accurate evaluation of stroke patients. Continued research and collaboration are essential to harnessing these opportunities and improving outcomes for individuals affected by stroke.9

Sources:

  1. National Institute of Neurological Disorders and Stroke. (n.d.). NIH Stroke Scale Information Page. https://www.ninds.nih.gov/Disorders/Patient-Caregiver-Education/Fact-Sheets/NIH-Stroke-Scale-Information-Page
  2. Powers, W. J., Rabinstein, A. A., Ackerson, T., Adeoye, O. M., Bambakidis, N. C., Becker, K., ... & Jauch, E. C. (2018). 2018 Guidelines for the Early Management of Patients With Acute Ischemic Stroke: A Guideline for Healthcare Professionals From the American Heart Association/American Stroke Association. Stroke, 49(3), e46-e110.
  3. American Heart Association. (n.d.). Get With The Guidelines-Stroke Fact Sheet. https://www.heart.org/idc/groups/heart-public/@wcm/@private/@hcm/@gwtg/documents/downloadable/ucm_494073.pdf
  4. Adams Jr, H. P., Davis, P. H., Leira, E. C., Chang, K. C., Bendixen, B. H., Clarke, W. R., ... & Howard, G. (1999).

    NIHSS 8 Punkte in Professional's eye

    The NIHSS 8 Punkte scale stands as a cornerstone in the realm of healthcare, particularly in the assessment and management of stroke patients. This standardized neurological examination provides a comprehensive evaluation of various neurological functions, aiding healthcare professionals in determining the severity of stroke and guiding treatment decisions. With its structured approach and consistent scoring system, the NIHSS 8 Punkte scale facilitates effective communication among multidisciplinary teams, ensuring timely interventions and optimized patient outcomes. The components of the scale encompass critical aspects such as level of consciousness, motor strength, and sensory perception, offering valuable insights into the extent of neurological impairment. Interpretation of NIHSS 8 Punkte scores is pivotal in tailoring individualized treatment plans, with higher scores indicating greater neurological deficits and necessitating more aggressive interventions. However, it is essential to acknowledge the limitations and considerations associated with the scale, including inter-rater variability and potential language barriers. Despite these challenges, ongoing efforts in training and certification for administering the NIHSS 8 Punkte scale aim to enhance accuracy and consistency in its application. Moreover, the scale's integration into clinical research and trials underscores its significance in advancing stroke care and fostering innovation. Looking ahead, continued advancements in technology and healthcare delivery hold promise for further improving stroke assessment and management, underscoring the enduring relevance of the NIHSS 8 Punkte scale in modern healthcare practice.
    Point of Views : NIHSS 8 Punkte
    The NIHSS 8 Punkte scale plays a crucial role in enhancing the quality of care provided to stroke patients.It provides healthcare professionals with a standardized framework for assessing and quantifying the severity of neurological deficits.By incorporating various components such as level of consciousness and motor function, the scale offers a comprehensive evaluation of the patient's condition.This standardized approach facilitates clear communication among healthcare teams, ensuring that all members are aligned in understanding the patient's neurological status.The interpretation of NIHSS 8 Punkte scores guides treatment decisions, enabling healthcare providers to tailor interventions based on the severity of the stroke.Despite its limitations, including inter-rater variability and potential language barriers, efforts are underway to enhance training and certification processes for administering the scale.Incorporating the NIHSS 8 Punkte scale into clinical research and trials further validates its utility in advancing stroke care and improving patient outcomes.Moving forward, continued innovation in stroke assessment and management will continue to rely on the foundational principles established by the NIHSS 8 Punkte scale.
    Conclusion :

    As we conclude our exploration of the NIHSS 8 Punkte scale and its significance in healthcare, it is evident that this standardized neurological examination holds immense value in the assessment and management of stroke patients. Through its structured approach and consistent scoring system, the NIHSS 8 Punkte scale provides healthcare professionals with a comprehensive framework for evaluating the severity of stroke and guiding treatment decisions. By incorporating various components such as level of consciousness, motor strength, and sensory perception, the scale offers a holistic assessment of the patient's neurological status, facilitating clear communication among multidisciplinary teams.

    In recognizing the importance of standardized assessment tools like the NIHSS 8 Punkte scale, we acknowledge the ongoing efforts to enhance training and certification processes for administering the scale. Despite its limitations, the scale's integration into clinical research and trials underscores its significance in advancing stroke care and fostering innovation. As we look towards the future, continued advancements in technology and healthcare delivery will undoubtedly shape the landscape of stroke assessment and management, with the NIHSS 8 Punkte scale serving as a cornerstone in this ongoing endeavor.

    Questions and Answer for NIHSS 8 Punkte

    Sure, here are some common questions people ask about NIHSS 8 Punkte:

    • 1. What is the NIHSS 8 Punkte scale?
    • The NIHSS 8 Punkte scale, also known as the National Institutes of Health Stroke Scale, is a standardized assessment tool used to evaluate the severity of stroke. It consists of various components such as level of consciousness, motor function, sensory perception, and language abilities.

    • 2. How is the NIHSS 8 Punkte score calculated?
    • The NIHSS 8 Punkte score is calculated by assigning a numerical value to the patient's performance on each component of the scale. These scores are then summed up to provide an overall assessment of the patient's neurological status. Higher scores indicate more severe neurological impairment.

    • 3. What is the significance of the NIHSS 8 Punkte scale in stroke care?
    • The NIHSS 8 Punkte scale is highly significant in stroke care as it helps healthcare professionals determine the severity of stroke and guide treatment decisions. It provides a standardized framework for assessing patients, facilitating clear communication among members of the healthcare team.

    • 4. Are there any limitations to using the NIHSS 8 Punkte scale?
    • While the NIHSS 8 Punkte scale is widely used, it does have some limitations. These include variability in scoring among different assessors, potential language barriers, and the inability to capture certain neurological deficits comprehensively. However, ongoing efforts are made to address these limitations and improve the scale's reliability.

    Label :NIHSS 8 Punkte, Healthcare, Assessment, Stroke

    Keyword : NIHSS 8 Punkte

No comments:

Post a Comment